SP.Gov.br
sp.gov.br
Z6_MH1A1C4041KID067G5HAHSJRM6
Z7_MH1A1C4041KID067G5HAHSJVD4

Z7_MH1A1C4041KID067G5HAHSJVT1
Topo e base

COHAB – Conjunto Habitacional Heliópolis – Glebas L1 e L2 – Município de São Paulo

Número do Processo: CETESB.039155/2018-53
Razão Social: Companhia Metropolitana de Habitação de São Paulo COHAB SP (Conjunto Habitacional Heliópolis – Glebas L1 e L2)
Endereço: Av. Presidente Wilson, Gleba L, Vila Independência, São Paulo/SP
Classificação: Área Contaminada Crítica (ACC)
Medidas de Intervenção e Emergenciais
Operação de sistema de exaustão de gases/vapores, composto por trincheiras de drenagem e poços de extração;
Manutenção de programa de monitoramento de gases;
Cobertura e impermeabilização do solo superficial;
Remediação de água subterrânea;
Restrição de uso da água subterrânea.

Z7_MH1A1C4041KID067G5HAHSJV71
Topo e base

Nota de esclarecimento

A Cetesb informa que a Escola Municipal de Ensino Fundamental Péricles Eugênio da Silva Ramos (EMEF), localizada no Conjunto Habitacional Heliópolis (Gleba L), sob a responsabilidade da Companhia Metropolitana de Habitação de São Paulo (COHAB), está interditada desde março de 2023, após uma notificação emitida este órgão ambiental.

As atividades da EMEF foram suspensas temporariamente para garantir a segurança de todos – alunos, professores, funcionários e visitantes e iniciar ações urgentes para reduzir os riscos de explosão devido ao acúmulo de gás metano abaixo do prédio da escola. Essa decisão foi tomada com base nos resultados de monitoramento realizado pela COHAB nas instalações da escola.

No que compete às suas atribuições, a Cetesb empenhou esforços na gestão do problema e  indicou que seja implantado um sistema de dissipação passiva do metano no piso da escola. A concepção básica do sistema, em nível conceitual, já obteve aprovação da Cetesb, de modo que, a partir desse momento, a sua execução e implementação estão na dependência de ações sob responsabilidade da COHAB e Secretaria da Educação.

Z7_MH1A1C4041KID067G5HAHSB0G4
Topo e base

Identificação do problema

A área do Conjunto Habitacional Heliópolis (Glebas L1 e L2), incluindo as áreas das unidades educacionais da EMEI Joaquim Antônio da Rocha, EMEF Péricles Eugênio da Silva Ramos e Casa da Criança Santa Ângela (CCA), é classificada pela Cetesb – Companhia Ambiental do Estado de São Paulo como Área Contaminada Crítica (ACC). A figura 1 ilustra a localização da área.

Figura 1 – Localização da Área Contaminada Crítica da COHAB Heliópolis

Nesse local ocorreu a disposição inadequada de resíduos de diversas procedências, por longos anos, onde, posteriormente, foram construídos os edifícios residenciais da Gleba L1, em 1988, e da Gleba L2, entre os anos de 1994 e 1995.

A Cetesb acompanha os trabalhos de gerenciamento desde o início da década de 2000, sendo que o problema ambiental mais expressivo está associado à presença de metano (CH4), gás gerado, principalmente, pela decomposição dos resíduos depositados.

Os riscos potenciais relacionados às concentrações de metano identificadas no ar do solo da região se referem à possibilidade de acúmulo do gás sob as edificações construídas e/ou em utilidades subterrâneas confinadas (redes de esgoto, drenagem de águas pluviais, elétrica, telefonia, caixas de passagem etc.) e criação de condições para o estabelecimento de ambientes/situações propícios à explosão.

Z7_MH1A1C4041KID067G5HAHSB0K3
Topo e base

Ações de investigação e de intervenção

Ao longo do gerenciamento da área, realizaram-se reuniões técnicas com a COHAB, representada por seus gestores e consultores ambientais, com técnicos da Cetesb e, ocasionalmente, com representantes da Secretaria do Verde e Meio Ambiente da Prefeitura do Município de São Paulo (SVMA/PMSP) e da Promotoria de Justiça da Habitação e Urbanismo, para discussão das ações propostas para a condução dos estudos.

Como resultado de uma das etapas de complementação da investigação detalhada foi possível estimar a distribuição das plumas subsuperficiais de gás metano (figura 2):

Figura 2 – Plumas de metano CH4 obtidas durante a investigação detalhada do ano de 2011

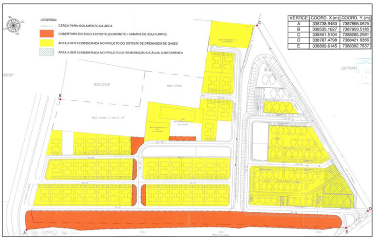
Com o objetivo de eliminar os riscos identificados foi aprovado para o local um Plano de Intervenção contemplando a extração/exaustão dos gases/vapores do subsolo, a cobertura de solo exposto, a remediação da água subterrânea a nordeste da área e a restrição de uso da água subterrânea do lençol freático, conforme ilustrado nas figuras 3 a 6 a seguir:

Figura 3 – Trincheiras de extração/exaustão de gases/vapores instaladas (situação de dezembro/2022).
Figura 4 – Instalação das trincheiras de drenagem para a extração/exaustão do metano
Figura 5 – Sistema de extração/exaustão e tratamento de gases/vapores
Figura 6 – Área (em laranja) prevista para cobertura do solo exposto e remediação da água subterrânea (área hachurada).

Além das medidas de intervenção mencionadas anteriormente, no Plano de Intervenção foi prevista a implantação de um Programa de Monitoramento de Gases a partir do ano de 2011, composto por medições periódicas de parâmetros para avaliação da presença de metano e de compostos orgânicos voláteis (VOCs) na rede de poços de monitoramento de gases/vapores, rede de pontos de infraestrutura (quadros de energia elétrica, tomadas, ralos, grelhas e rachaduras), sistemas de extração/exaustão e, quando necessário, nas unidades habitacionais. Para a realização dos monitoramentos, a empresa contratada pela COHAB mantém um técnico no local, durante os dias úteis, que executa as medições programadas.

Além do problema do metano, os estudos ambientais desenvolvidos na área da COHAB Heliópolis indicaram contaminação do solo por metais, contaminação da água subterrânea por substâncias orgânicas (benzeno, cloreto de vinila, isopropilbenzeno, xilenos, antraceno, naftaleno, fluoranteno e fenantreno) e do ar do solo por clorofórmio, tricloroeteno, 1,3,5‑trimetilbenzeno e benzeno.

Z7_MH1A1C4041KID067G5HAHSB0A6
Topo e base

Monitoramento, acompanhamento e ações emergenciais

Mesmo com a implantação das medidas de intervenção e do Programa de Monitoramento de Gases, a Cetesb tem reiterado a necessidade de melhorias, no que tange à resolução das investigações e à avaliação da eficiência e eficácia dos sistemas de extração/exaustão de gases/vapores instalados.

As melhorias se mostram necessárias pois, ao longo de anos de monitoramento, os resultados das medições de metano não têm evidenciado, de modo consistente, que a medida de contenção esteja atingindo plenamente o objetivo de garantir a não ocorrência de acúmulo do gás sob as edificações e/ou nas infraestruturas e, consequentemente, a proteção da população local.

Comprovam essa situação a detecção de concentrações de metano acima dos limites aceitáveis em poços de monitoramento que, em tese, estariam sob influência dos sistemas de extração/exaustão de gases/vapores, além da perda da qualidade das informações devido às dificuldades relacionadas à manutenção da integridade da rede de monitoramento de gases/vapores (dano, destruição ou obstrução de poços). A dificuldade de acesso às unidades habitacionais térreas em que há detecção de metano em concentrações superiores à meta de remediação, também é um fator que indica a necessidade de mudança no gerenciamento.

Nesse contexto, no dia 23/03/2023, a Cetesb, em consonância com as decisões tomadas pelo Grupo Gestor de Áreas Críticas, sinalizou à COHAB e aos órgãos públicos competentes, de modo preventivo e em caráter emergencial, a necessidade de interdição da EMEF e desocupação dos apartamentos do pavimento térreo do Bloco 115 da Gleba L1. Esses são locais onde essa situação de perigo tem se mostrado mais crítica.

Nas demais áreas inseridas na Área Contaminada Crítica da COHAB Heliópolis, incluindo a EMEI, não foi recomendada a interdição e/ou desocupação, em função dos resultados apresentados nos relatórios do Programa de Monitoramento de Gases mantido pela COHAB, notadamente, nos resultados das medições que têm sido realizadas na rede de poços de monitoramento de gases/vapores abaixo do contrapiso e pontos de infraestrutura, e em função das medições feitas por técnicos deste órgão ambiental no dia 05/09/2022.

Conforme notificação da Cetesb, em março de 2023 a Secretaria Municipal de Educação interditou a área da EMEF, culminando na paralisação das atividades institucionais.

A implementação das ações emergenciais na área da EMEF e do Bloco 115 foram iniciadas ainda em março de 2023 e consistiram na instalação de poços de extração, que foram interligados às trincheiras de drenagem existentes, e na ampliação da rede de poços de monitoramento de gases/vapores. Concomitantemente, foi dado prosseguimento à recomposição/readequação dos poços de monitoramento das demais áreas do Conjunto Habitacional iniciada em 2023, além da reinstalação de poços de monitoramento de água subterrânea.

Os monitoramentos realizados em abril indicaram a detecção de metano em concentrações elevadas em três (EMEF-VP-07, EMEF-VP-08 e EMEF-VP-10) dentre os onze novos poços de monitoramento abaixo do contrapiso instalados na área da EMEF. A partir da constatação, foi providenciada a instalação de novos poços de extração, a realização de testes e, subsequentemente, a execução de trincheiras para conectá-los ao sistema de extração de gases/vapores existente.

A partir de maio, observaram-se concentrações nulas de metano nos poços EMEF-VP-07 e no EMEF-VP-10. Em maio e junho, houve oscilação do metano no poço EMEF-VP-08, ainda com detecção de concentrações relevantes, porém, com tendência à diminuição, tendo sido medidas concentrações nulas nos três últimos dias monitorados em junho (28, 29 e 30).

Na área do Bloco 115 foram medidas concentrações significativas apenas no poço de monitoramento abaixo do contrapiso com histórico de detecção de metano, limitadas às leituras realizadas no período da manhã, antes do acionamento do sistema de extração de gases/vapores; no período da tarde, obtiveram-se leituras nulas. A partir de 25/04/2023, observaram-se concentrações nulas de metano nos dois períodos monitorados e, desde 18/05/2023, as medições passaram a ser realizadas semanalmente. No monitoramento feito em junho não houve detecção de metano na área do Bloco 115.

Em maio de 2023 foi feito o adensamento da rede de poços de monitoramento abaixo do contrapiso nas áreas da EMEI, CCA e alojamento. Nesse mês, foi identificada reincidência de metano no poço de monitoramento abaixo do contrapiso instalado no Bloco D1 da Gleba L2, que foi incluído no monitoramento diário, periodicidade estendida também às medições nos pontos de infraestrutura do hall do edifício.

Em junho de 2023 foram obtidas leituras de metano em um dos poços de monitoramento abaixo do contrapiso instalado na área do alojamento (ALOJ-VP-03), que superaram o limite máximo estabelecido para a área, contudo, em valor abaixo do limite de inferior de inflamabilidade (5%, em volume).

No dia 21/06/2023 foi feita a avaliação do raio de influência das trincheiras drenantes da EMEF e do Conjunto B (sistema de extração/exaustão que atua na região do alojamento), tendo sido executados pontos de observação no entorno delas para medições das pressões relativas e concentrações de metano. Para a análise da atuação dos sistemas de extração/exaustão, faz-se necessário dar continuidade aos monitoramentos periódicos e ampliar os pontos de observação para uma avaliação conclusiva.

No dia 22/06/2023 foi identificado metano (80% do limite inferior de inflamabilidade) em uma caixa de passagem elétrica no hall do Bloco D1, tendo sido acionado um plano emergencial iniciado com a realização de medições nos ralos e tomadas dos apartamentos térreos 11, 12, 13 e 14. No dia 23 de junho foram instalados um poço de monitoramento de gases/vapores e um poço de extração no local, que foi conectado ao sistema de extração/exaustão do Conjunto G, em caráter provisório (instalação aérea).

Nos dias 24 e 25 de junho foram realizadas medições no hall do Bloco D1 (poços de monitoramento e pontos de infraestrutura), três vezes ao dia. Em 24 e 25 de junho foram realizadas as medições nas infraestruturas dos quatro apartamentos térreos, uma vez ao dia; no dia 25 de junho foram monitorados os apartamentos 11 e 12.

Na semana do dia 26 de junho, realizaram-se medições nos conduítes da caixa de passagem, três vezes ao dia, tendo sido detectado metano, ao menos uma vez, nos pontos monitorados. Foi constatado que, ao final do dia, com o sistema de extração/exaustão ligado, não se detectavam concentrações de metano nos conduítes. No dia 29 de junho, o sistema não foi desligado e, no dia 30, todas as medições resultaram nulas.

Nesse período, os apartamentos térreos foram monitorados diariamente, não tendo sido detectado metano internamente às unidades habitacionais. Foi programada a continuidade do monitoramento diário dos apartamentos térreos do Bloco D1 e a instalação de um poço de monitoramento abaixo do contrapiso em julho, recomendando-se a instalação de trincheira para interligação do poço de extração ao sistema de extração/exaustão e a execução de reformas para remoção dos conduítes subterrâneos e, eventualmente, outras instalações que possam favorecer a intrusão do metano.

Z7_MH1A1C4041KID067G5HAHSB0U0
Topo e base

Vistorias

Com vistas ao acompanhamento das ações emergenciais, no dia 18/04/2023, as áreas da EMEF e do Bloco 115 da Gleba L1 foram inspecionadas pela CETESB, em conjunto com representantes da COHAB, tendo sido constatado que as atividades rotineiras da EMEF permaneciam interrompidas e que os apartamentos do Bloco 115 não haviam sido desocupados.

Foi verificada a instalação de novos poços de extração (figuras 7 e 8), que foram interligados às trincheiras de drenagem de gases/vapores existentes, a ampliação da rede de poços de monitoramento abaixo do contrapiso em toda a área interna da EMEF e a instalação de dois poços de monitoramento de gases/vapores (um deles, abaixo do contrapiso) no hall do pavimento térreo do Bloco 115. A COHAB informou que não houve detecção de metano nas medições preliminares feitas nos novos poços de monitoramento abaixo do contrapiso instalados na área da EMEF.

As medições feitas durante a vistoria, com o sistema de extração/exaustão de gases/vapores em funcionamento, não indicaram a presença de metano, porém, a empresa responsável pela execução dos monitoramentos sistemáticos relatou a detecção de metano (14%, em volume) pela manhã, no poço de vapor do Bloco 115, antes do sistema ser ligado.

No dia 19/05/2023, técnicos da CETESB, acompanhados de representantes da COHAB, vistoriaram as áreas da EMEF, EMEI, CCA e alojamento, para verificação do andamento das medidas emergenciais e para monitoramento. Na ocasião, foi constatada a instalação de dois poços de extração na área da EMEF (figuras 9 e 10), que foram interligados ao sistema de extração/exaustão da EMEI, e a instalação de novos poços de monitoramento abaixo do contrapiso nas áreas da EMEI, CCA e alojamento. Foi detectado metano nos poços EMEF‑VP-08 (8%, em volume), EMEF-VP-10 (4,1%, em volume) e ALOJ-VP-03 (0,6%, em volume). Foram inspecionados alguns poços de monitoramento de gases subsuperficiais em área externa, nas proximidades das áreas vistoriadas, medindo-se concentrações de 6%, 43% e 23,5% de metano, em volume, nos poços PGW-19, PGW-24 e PGW-25, respectivamente. Foram feitas medições em tomadas, ralos, pias e no vão entre o vaso sanitário e o piso do banheiro de uma lanchonete/bar situada na Rua Michele Príncipe, nas imediações do PGW-25, não tendo sido detectada a presença de metano.

Z7_MH1A1C4041KID067G5HAHSB0P5
Topo e base

Proposta de alteração do Plano de Intervenção

Tendo em vista a involução da situação do gerenciamento ambiental da área ao longo dos anos, a Cetesb, que, até então, mantinha a postura de instar a COHAB a cumprir as exigências estabelecidas no exercício de suas ações técnico-administrativas, decidiu por se posicionar mais incisivamente, passando a impor uma ação efetiva da COHAB, que se comprometeu a reavaliar as medidas de intervenção relacionadas à presença de metano, visando à adoção de uma medida definitiva, comprovadamente eficiente e que não exija um monitoramento intensivo.

Em reunião com a Cetesb ocorrida em 06/04/2023, representantes da COHAB informaram que sua diretoria e presidência estão empenhados em estudar uma medida de intervenção definitiva que elimine o risco da intrusão de metano nas habitações e edificações. De acordo com a COHAB, está sendo avaliada a viabilidade de implementação de medidas de controle de engenharia nas unidades habitacionais térreas, que se encontra em fase de projeto de teste piloto. A princípio, a concepção do projeto foi considerada adequada pela Cetesb, que, no entanto, ainda será submetida à avaliação técnica.

A Cetesb aguarda o protocolo do relatório referente à alteração do Plano de Intervenção, e do cronograma para sua implantação e para atendimento às demais exigências técnicas pendentes.

Complementary Content
${loading}